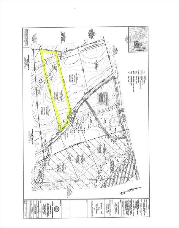
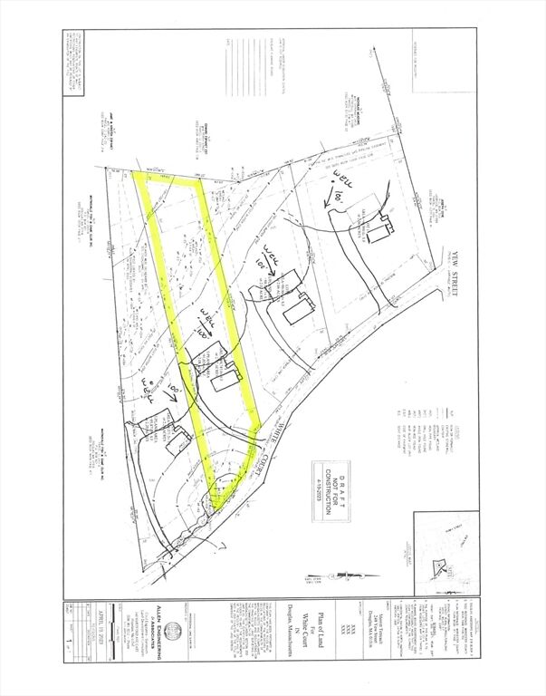
0 White Ct (Lot 3) Douglas, MA 01516
Listing Courtesy of: MLS PIN / ERA Key Realty Services / Shawn Towle

  0 White Ct (Lot 3) Douglas, MA 01516

Pending (30 Days)
$120,000 (USD)

Description

Nice 2+ Acre lot shown as Lot 3 on attached plan (small amount of wetland little to no impact) , in area of Blissful Meadows golf course plenty of privacy recent percs indicate low ground water good per rates nice mature Pines and plenty of wildlife, minutes to Rte 146 and Blissful Meadows Golf course, Additional lots can be purchased as well separately or a bundle

MLS #:
73488456
Lot Size
2.17 acres
Type
Land
County
Worcester County

Listed By

Shawn Towle, ERA Key Realty Services
Source
MLS PIN
Last checked Apr 21 2026 at 12:27 AM EDT
Bathroom Details
Lot Information
  • Level
  • Easements
  • Wetlands
Utility Information
  • Utilities: Water: Private
  • Sewer: Private Sewer
Location
   
Calculate drive times to this property
 
Powered by INRIX® Drive Time

Powered by Walk Score®
Disclaimer: The property listing data and information, or the Images, set forth herein wereprovided to MLS Property Information Network, Inc. from third party sources, including sellers, lessors, landlords and public records, and were compiled by MLS Property Information Network, Inc. The property listing data and information, and the Images, are for the personal, non commercial use of consumers having a good faith interest in purchasing, leasing or renting listed properties of the type displayed to them and may not be used for any purpose other than to identify prospective properties which such consumers may have a good faith interest in purchasing, leasing or renting. MLS Property Information Network, Inc. and its subscribers disclaim any and all representations and warranties as to the accuracy of the property listing data and information, or as to the accuracy of any of the Images, set forth herein. © 2026 MLS Property Information Network, Inc.. 4/20/26 17:27